0 Caleb Setzer Road

0 Caleb Setzer Road

Newton, NC 28658
$30,000

  • Lot Size: 0.53 Acres
Description

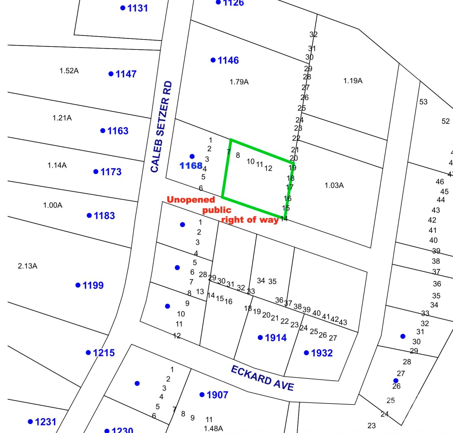
Tucked behind 1168 Caleb Setzer Rd, this 0.75± acre interior lot offers privacy and room to build. The parcel fronts an unopened platted public right-of-way—not a built road—keeping the homesite away from traffic while still providing platted access, per County. An existing detached garage on a concrete slab remains on site and previously had electrical service (now disconnected). Wooded, gently sloping topography offers several potential homesite locations. Buyer to verify access improvements, utilities, tap fee and suitability for intended use.

Property Summary
Property Type: Land Property Subtype : Lot
Lot Size : 0.53 Acres
More Information
  • Water Source : City
  • Road : Other - See Remarks, No Road
  • Listing Terms : Cash, Conventional
  • Possible Use : Residential

Based on information submitted to the MLS GRID as of 12-04-2025 11:00:05 UTC All data is obtained from various sources and may not have been verified by broker or MLS GRID. Supplied Open House Information is subject to change without notice. All information should be independently reviewed and verified for accuracy. Properties may or may not be listed by the office/agent presenting the information.

Listed By
EXP Realty LLC Mooresville
Yer Yang
828-519-5835
Contact Us