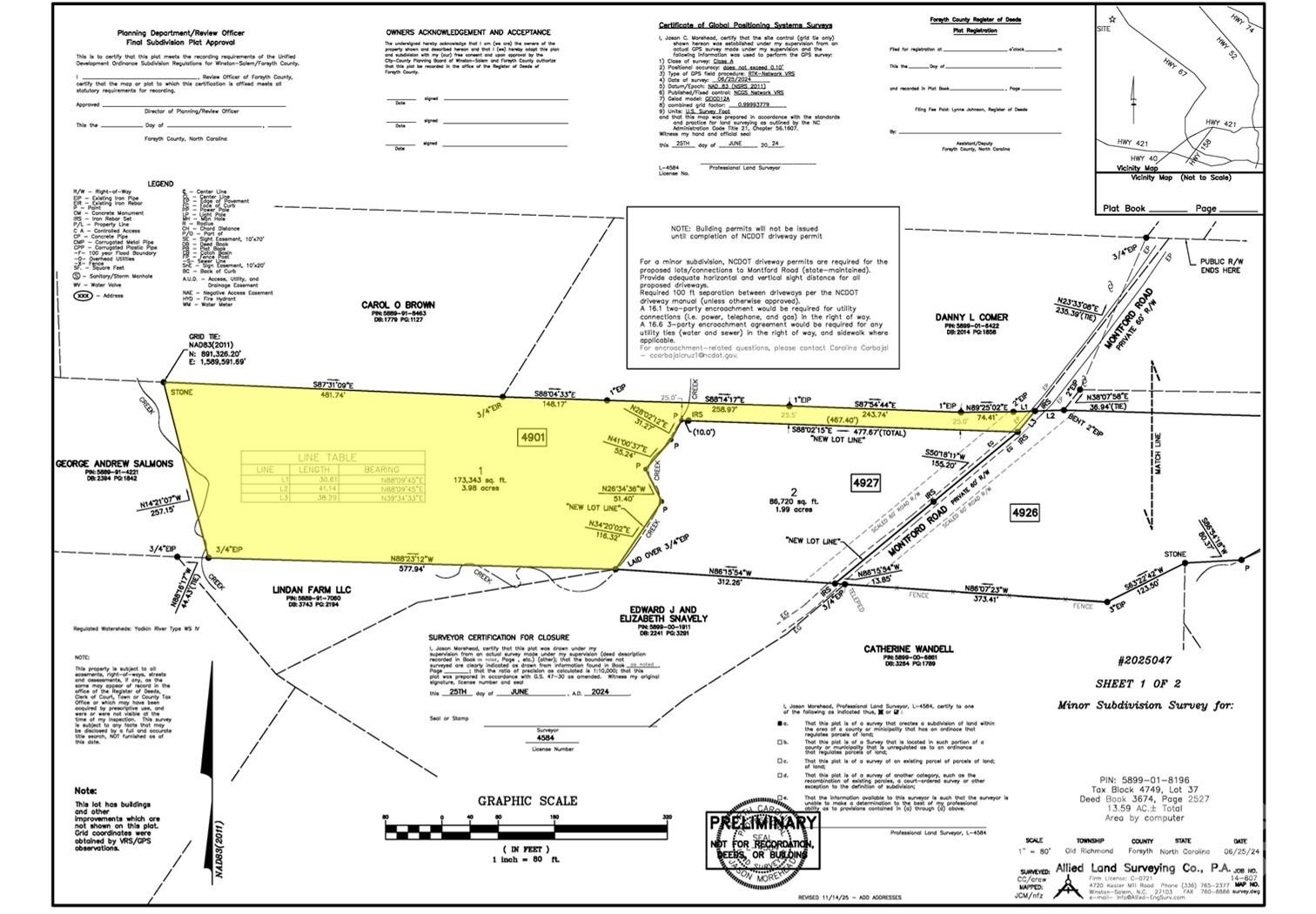
4901 & 4927 Montford Road

4901 & 4927 Montford Road

Pfafftown, NC 27040
$170,000

  • Lot Size: 5.97 Acres
Description

Build your dream home or homes in Pfafftown on approx. 6 acres of wooded land with creek running through property ... Secluded ... Soil evaluation/Perc testing completed for 4 bedroom home in multiple site locations ... See attached survey Including Tract 1 and 2 ... Notice the red metal stakes -- when facing the property, the stakes are the property line for this land and the neighbor's property ... Property line starts at the red stakes and runs left ... Notice the lot line is at an angle... Septic and well will be required ... Soil Reports & Road Maintenance Agreement under attachments ... (Waiting on county for updated Tax PIN/Parcel IDs) (Note - two parcels combined on this listing but can be bought separately as an approx. 4 acre and 2 acre parcel -- also listed separately on MLS) NOTE: Wear appropriate shoes to cross (walk through) the creek to get to the back half of land -- creek runs through about midway of the land

Property Summary
Property Type: Land Property Subtype : Acreage
Lot Size : 5.97 Acres
Property Features
  • Creek/Stream
  • Wooded
More Information
  • Water Source : Well Needed
  • Road : Private Maintained Road
  • Listing Terms : Cash, Conventional
  • Possible Use : Residential

Based on information submitted to the MLS GRID as of 11-16-2025 03:46:04 UTC All data is obtained from various sources and may not have been verified by broker or MLS GRID. Supplied Open House Information is subject to change without notice. All information should be independently reviewed and verified for accuracy. Properties may or may not be listed by the office/agent presenting the information.

Listed By
RE/MAX Preferred Properties
Shelly Hartman
336-416-2618
Contact Us