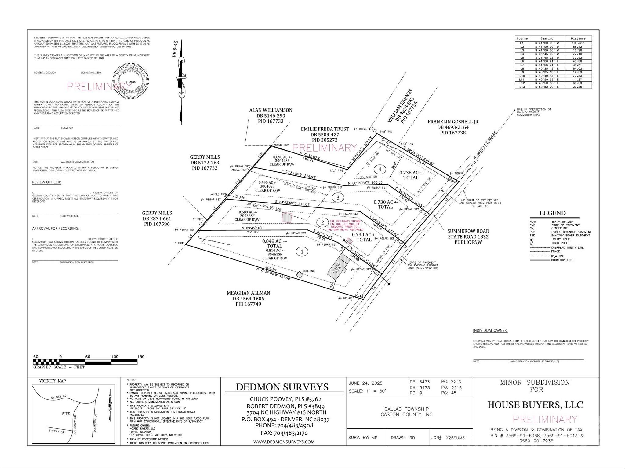
520 Summerow Road

520 Summerow Road

Stanley, NC 28164
$217,700

  • Lot Size: 2.196 Acres
Description

3 BUILDABLE LOTS. GREAT FOR BUILDER, ENTREPRENEUR, INVESTOR. PACKAGE DEAL OFFERED. OWNER FINANCING OFFERED AND NEGOTIABLE. PACKAGE DEAL WITH SINGLE-FAMILY HOME ALSO AVAILABLE. Package deal for $407,600. This listing is actually for three subdivided lots. Buildable. Needs septic & well. The three lots have been PERKED, and you can build three seperate; 4-bedroom homes. As a package deal you can also purchase a house next to this lot for additional $187,900. An additional to this listing price for three lots. TWO OF THESE LOTS ARE 0.730 ACRES. NICE FLAT LOTS. THIRD LOT IS 0.736 ACRES. Survey available and in photos. Perk test done, report soon available, 4 bedroom homes. Homes in high demand in area. Close to downtown Stanley. Nice street nice neighborhood. Permits for well, & septic tank have been paid for, transferable, good for five years. Some of the lot is cleared.

Property Summary
Property Type: Land Property Subtype : Lot
Lot Size : 2.196 Acres
More Information
  • Water Source : Well Needed
  • Road : Publicly Maintained Road
  • Listing Terms : Cash, Construction Perm Loan, Conventional, Exchange, Owner Financing, USDA Loan, VA Loan, Other - See Remarks
  • Possible Use : Residential

Based on information submitted to the MLS GRID as of 11-16-2025 17:25:04 UTC All data is obtained from various sources and may not have been verified by broker or MLS GRID. Supplied Open House Information is subject to change without notice. All information should be independently reviewed and verified for accuracy. Properties may or may not be listed by the office/agent presenting the information.

Listed By
RE/MAX Executive
Dan De La Portilla
704-377-5000
Contact Us