00 Landsford Road

00 Landsford Road

Marshville, NC 28103
$189,000

  • Lot Size: 4.4 Acres
Description

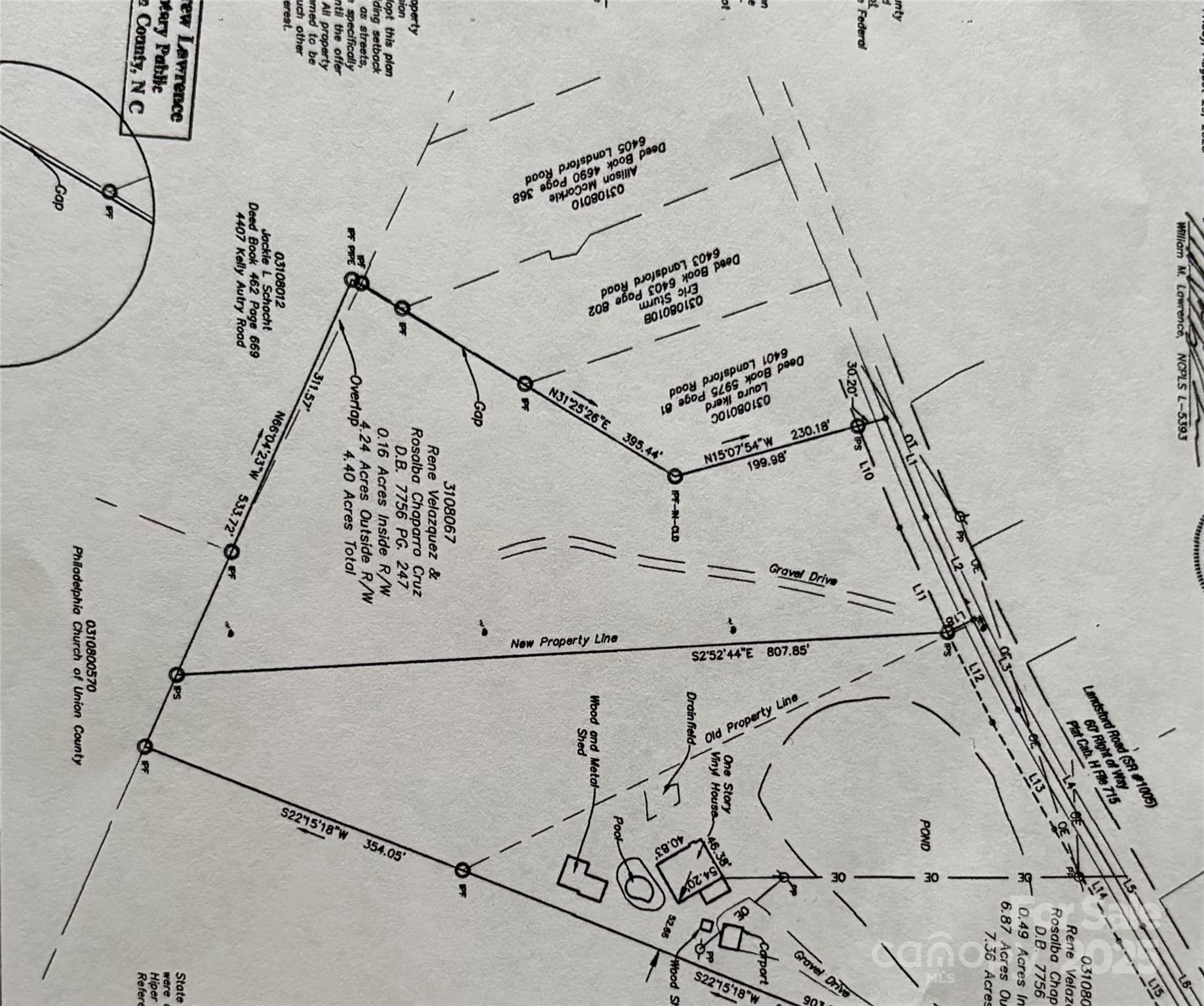
Build your dream home on this beautiful 4.4-acre property on Landsford Rd! This peaceful piece of land offers the perfect setting for those seeking space, privacy, and a connection with nature, all with no HOA restrictions. The sellers have already taken care of major steps to make your building process easier: the perc test has been completed and approved for a 4-bedroom home, and a recent survey is also available. The future home site has already been cleared, giving you a head start on bringing your vision to life.

Property Summary
Property Type: Land Property Subtype : Acreage
Lot Size : 4.4 Acres
More Information
  • Water Source : Well Needed
  • Road : Publicly Maintained Road
  • Possible Use : Residential

Based on information submitted to the MLS GRID as of 11-05-2025 01:10:04 UTC All data is obtained from various sources and may not have been verified by broker or MLS GRID. Supplied Open House Information is subject to change without notice. All information should be independently reviewed and verified for accuracy. Properties may or may not be listed by the office/agent presenting the information.

Listed By
United Real Estate-Queen City
Lorena Pujols
704-502-8665
Contact Us