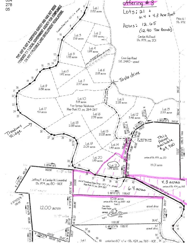
TBD Cove Gap Road

TBD Cove Gap Road

Moravian Falls, NC 28654
$149,900

  • Lot Size: 35 Acres
Description

For Sale total of +/- 35 acres being sold WELL below tax value! Discover an exciting opportunity to own approximately 35± acres of mountain land in Moravian Falls, North Carolina. This property is being sold as a traditional listings and includes multiple individual lots—specifically Lots 2, 6, 7, 8, 9,11,14,15,16,19,20,21 and 6.4 & 4.3 acre tracts—combined as one offering known as Cove Gap Rd Multiple lots. Located in a pre-platted subdivision, the land offers road frontage on Cove Gap Road, a state-maintained secondary road, with additional access via non-state maintained roads known as Taylor Drive and Treadway Ridge. The setting offers a quiet, rural atmosphere with wooded surroundings and mountain views. Whether you're looking to build a mountain retreat, establish a homestead, or hold for future use, this property provides space and flexibility. Don’t miss this opportunity to own land in the Moravian Falls area of Wilkes County.

Property Summary
Property Type: Land Property Subtype : Acreage
Lot Size : 35 Acres
More Information
  • Water Source : Well Needed, None
  • Road : Publicly Maintained Road
  • Listing Terms : Cash, Conventional
  • Possible Use : Private Estate, Recreational, Residential, Timber

Based on information submitted to the MLS GRID as of 11-15-2025 22:15:05 UTC All data is obtained from various sources and may not have been verified by broker or MLS GRID. Supplied Open House Information is subject to change without notice. All information should be independently reviewed and verified for accuracy. Properties may or may not be listed by the office/agent presenting the information.

Listed By
Big 6 Properties
Sharon Roseman
828-320-4726
Contact Us