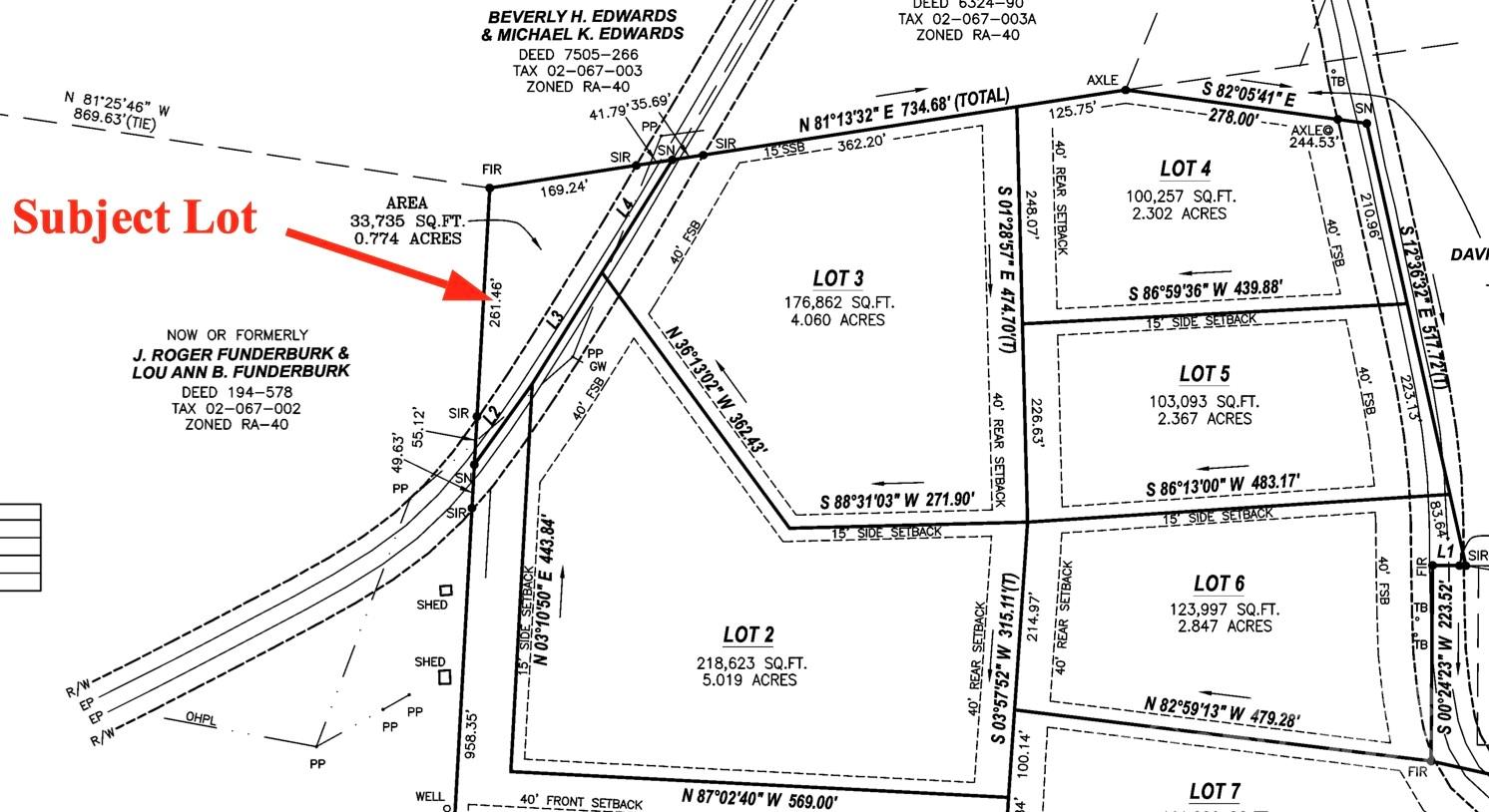
0.77 Jesse Rushing Road

0.77 Jesse Rushing Road

Marshville, NC 28103
$64,900

  • Lot Size: 0.77 Acres
Description

Hard to find. Manufactured Home Approved. Wooded tract, level and ready to build your dream home. Property to be cut out of parcel #02067008.

Property Summary
Property Type: Land Property Subtype : Lot
Lot Size : 0.77 Acres
More Information
  • Water Source : Well Needed, None
  • Road : Publicly Maintained Road
  • Possible Use : Residential

Based on information submitted to the MLS GRID as of 11-16-2025 02:14:05 UTC All data is obtained from various sources and may not have been verified by broker or MLS GRID. Supplied Open House Information is subject to change without notice. All information should be independently reviewed and verified for accuracy. Properties may or may not be listed by the office/agent presenting the information.

Listed By
Collins REALTORS
Joe Collins
704-641-5898
Contact Us