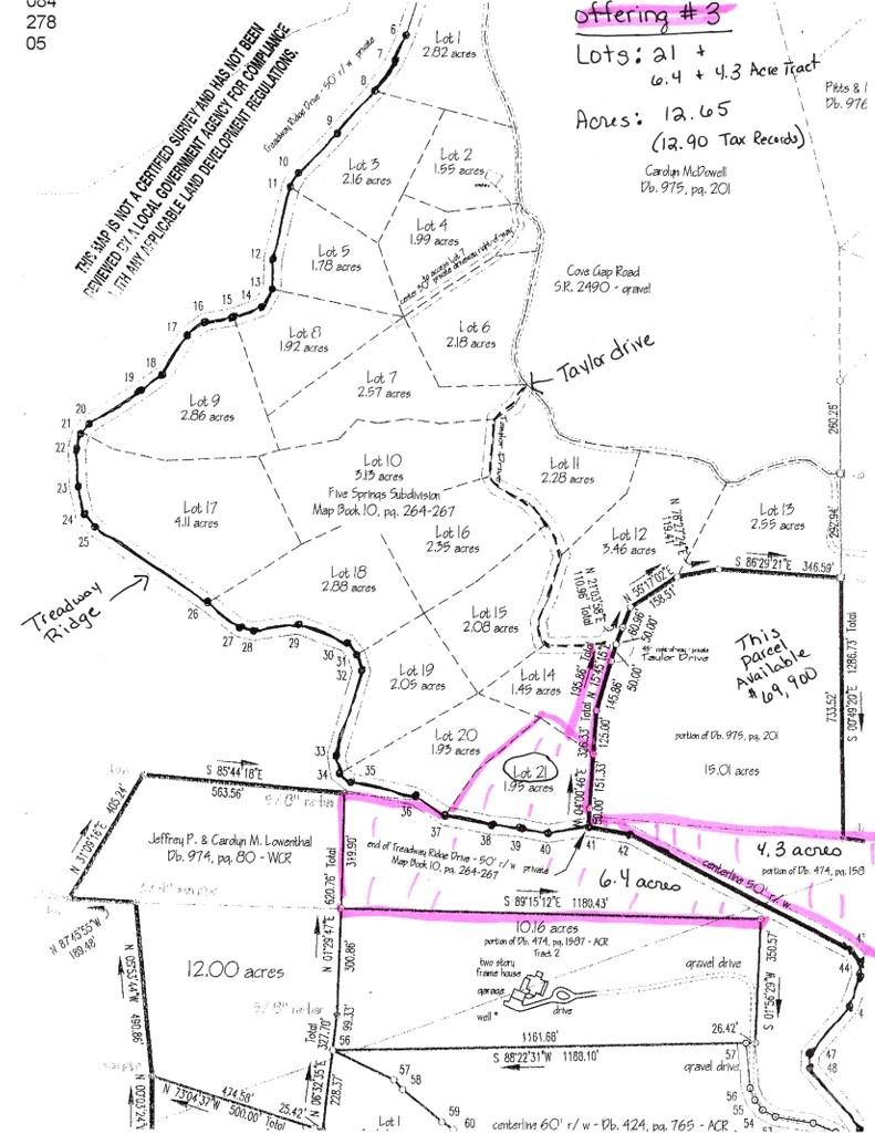
000 Cove Gap Road

000 Cove Gap Road

Moravian Falls, NC 28654
$60,000

  • Lot Size: 12.9 Acres
Description

Discover an exciting opportunity to own this +/- 12.9 acre tract of mountain land in Moravian Falls, NC. This property is known as Offering #3. It includes Lot 21, along with an additional +/- 6.4 acre tract and +/- 4.3 acre parcel, all combined into a single offering. The land is accessible via the non-state maintained road known as Taylor Drive, offering a secluded setting while still being part of a pre-platted subdivision. The property features wooded surroundings, mountain views, and a quiet, rural atmosphere - great for building a retreat, establishing a homestead, or holding as an investment.

Property Summary
Property Type: Land Property Subtype : Acreage
Lot Size : 12.9 Acres
More Information
  • Water Source : Well Needed, None
  • Road : Publicly Maintained Road
  • Listing Terms : Cash, Conventional
  • Possible Use : Private Estate, Recreational, Residential, Timber

Based on information submitted to the MLS GRID as of 11-16-2025 16:04:05 UTC All data is obtained from various sources and may not have been verified by broker or MLS GRID. Supplied Open House Information is subject to change without notice. All information should be independently reviewed and verified for accuracy. Properties may or may not be listed by the office/agent presenting the information.

Listed By
Big 6 Properties
Sharon Roseman
828-320-4726
Contact Us