000 Stevens Road

000 Stevens Road

Monroe, NC 28110
$230,675

  • Lot Size: 3.3 Acres
Description

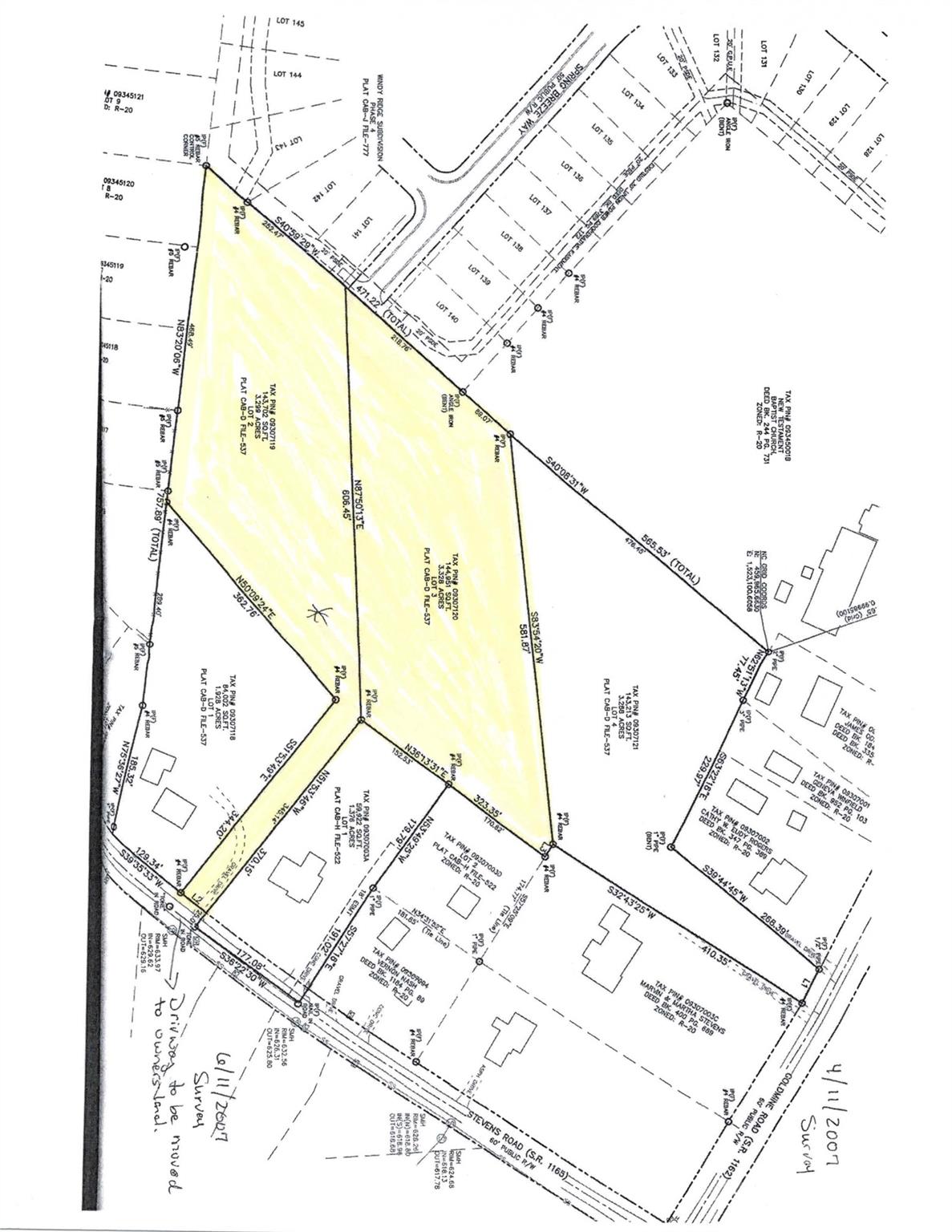
Large level wooded lot to be sold with adjoining 3.3 acre parcel (MLS # 4180334) for small development or private retreat. Sellers have acquired a concept plan through an engineering firm to demonstrate how the buyer can get 10 lots for homes on the combined tract. Plan incorporates Monroe's requirements but buyer is not limited to use of this layout. Homes in adjoining development are selling in the $400's - the hottest price point in current market. Water and sewer access is close by and may be extended into the site. Buyer should verify details and requirements for water and sewer access with the City. This parcel can be accessed from Stevens Road but more desirable access is through the cul de sac of Spring Breeze way in the Windy Ridge subdivision. Sign is posted there. Combined price for both tracts is $461,340. Don't let this opportunity get away!

Property Summary
Property Type: Land Property Subtype : Acreage
Lot Size : 3.3 Acres
Property Features
  • Level
  • Wooded
More Information
  • Water Source : Other - See Remarks
  • Road : Publicly Maintained Road
  • Listing Terms : Cash, Conventional, Other - See Remarks
  • Possible Use : Development, Residential

Based on information submitted to the MLS GRID as of 12-04-2025 14:05:05 UTC All data is obtained from various sources and may not have been verified by broker or MLS GRID. Supplied Open House Information is subject to change without notice. All information should be independently reviewed and verified for accuracy. Properties may or may not be listed by the office/agent presenting the information.

Listed By
Paxton Properties
Lynda Paxton
704-882-1083
Contact Us