00 school Drive

00 school Drive

Taylorsville, NC 28681
$250,000

  • Lot Size: 2.56 Acres
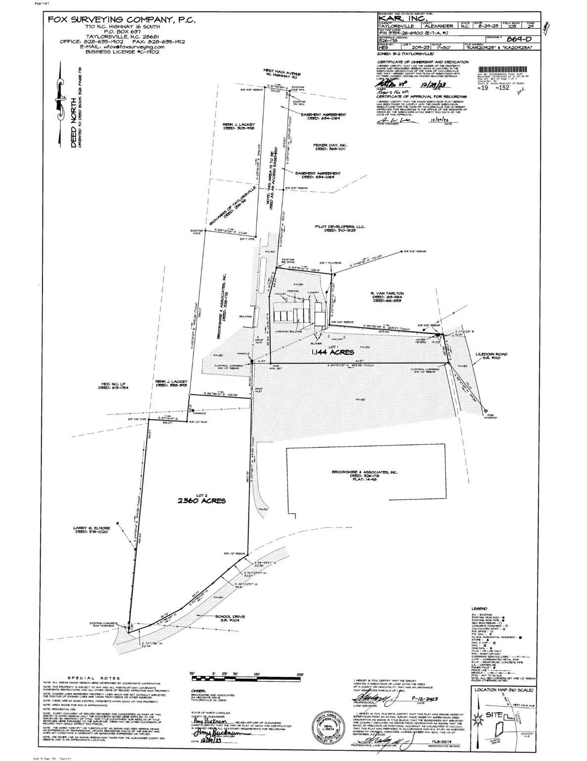
Description

Great opportunity to start your business from the ground up! Prime location across from the county high school with utilities available at the road. Property is zoned Commercial with over 330 feet of road frontage. This lot is a portion of parcel id#6889 and the tax value is for the entire parcel. A survey has already been recorded at the register of deeds office and included in photos and attachments. The back left corner of the property lies in the floodplain and the city sewer line runs across the back of the property as well. Check this one out today! Adjoining retail space is available and is listed in MLS#4299822.

Property Summary
Property Type: Land Property Subtype : Unimproved Commercial
Lot Size : 2.56 Acres
More Information
  • Water Source : City
  • Road : Publicly Maintained Road
  • Possible Use : Commercial

Based on information submitted to the MLS GRID as of 11-16-2025 18:49:05 UTC All data is obtained from various sources and may not have been verified by broker or MLS GRID. Supplied Open House Information is subject to change without notice. All information should be independently reviewed and verified for accuracy. Properties may or may not be listed by the office/agent presenting the information.

Listed By
Hartness Hometown Properties
Michelle Hartness
828-320-5621
Contact Us